Find us on facebook   Greek English

  Arkadia-Katoikia Real Estate   (Προς Πώληση) Αξιοποιήσιμη Γη Οικόπεδο || Ν. Αρκαδίας/Βόρεια Κυνουρία - 10.500 τ.μ, 380.000€

Έτος Κατασκευής:
Σ.Δ.:
Σ.Κ.:
Χρήση Γης: Τουριστική εκμετάλλευση
Σχέδιο Πόλεως: Εντός ζώνης
Κοντά σε: ενοικιαζόμενα συγκροτήματα

Επιπλέον Χαρακτηριστικά

Οικοδομήσιμο Επίπεδο Περιφραγμένο Για τουριστική εκμετάλλευση
 

Περιγραφή

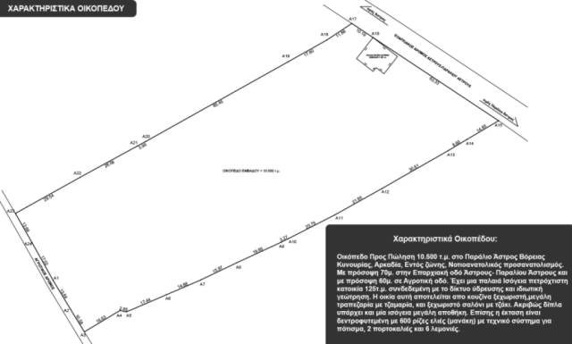
Βόρεια Κυνουρία, Παράλιο Άστρος, Προς Πώληση, Οικόπεδο 10.500 τ.μ., Τουριστική εκμετάλλευση, Νοτιοανατολικός, Εντός ζώνης, θέα :Βουνό + Θάλασσα, επενδυτική έκταση, με 70μ. πρόσοψη στην επαρχιακή οδό Άστρους- Παραλίου Άστρους και 60μ. πρόσοψη σε αγροτική οδό, Η έκταση είναι δενδροφυτεμένη με ελιές (μανάκη), έχει μια παλαιά ισόγεια κατοικία 127 τ.μ συνδεδεμένη με το δίκτυο ύδρευσης και ιδιωτική γεώτρηση., Η μοναδική αυτή έκταση έχει δυνατότητα δόμησης για αμιγής κατοικία, 800τ.μ. για συγκρότημα κατοικιών με ιδιόκτητο κομμάτι γης ανα κατοικία, και δυνατότητα δόμησης 1500 τ.μ για επαγγελματικό κτίριο ή ξενοδοχειακή μονάδα, χαρακτηριστικα: Οικοδομήσιμο, Περιφραγμένο, Γεώτρηση, Επενδυτικό, Επίπεδο, Για τουριστική εκμετάλλευση, επίπεδο, τιμή συζητήσιμη, κοντά σε: ενοικιαζόμενα συγκροτήματα, απόσταση απο: Αεροδρόμιο(m): 186000, Θάλασσα(m): 780, Πόλη(m): 1400, Χωριό(m): 1400, Tιμή: 380.000€ www.arkadia-katoikia.gr Τηλ. 2755051645 Κιν. 6979003430

Αναλυτική Περιγραφή

Δεν υπάρχει διαθέσιμη

Χάρτης

Σημεία Ενδιαφέροντος

Κοντά σε: ενοικιαζόμενα συγκροτήματα
Απόσταση από: Αεροδρόμιο(m): 186000, Θάλασσα(m): 780, Πόλη(m): 1400, Χωριό(m): 1400

Στατιστικά Ακινήτου

Δημοσίευση Ακινήτου: 09 Σεπ, 2024
Συνολικές επισκέψεις:
Τελευταία ενημέρωση: 29 Οκτ, 2025

Με Ενδιαφέρει Socialize it Δάνειο Εκτύπωση
Με Ενδιαφέρει το ακίνητο
Συμπληρώστε την φόρμα και πατήστε αποστολή. Τα πεδία με * είναι υποχρεωτικά
*
*

Εισάγετε τον κωδικό
Υπολογισμός Δανείου
Συμπληρώστε το Επιτόκιο (χωρίς το σύμβολο %} και τη Διάρκεια αποπληρωμής σε έτη. Αν επιθυμείτε μπορείτε να αλλάξετε και το ποσό
(%)
(έτη)

Χαρακτηριστικά

Περιοχή Βόρεια Κυνουρία (Δ. Βόρειας Κυνουρίας)
Υποπεριοχή Παράλιο Άστρος
Κατηγορία Αξιοποιήσημη Γη
Τύπος Οικόπεδο
Τιμή 380.000€
Εμβαδόν (τ.μ.) 10500
Τιμή/τ.μ. 36€
Κωδικός 1753306
Επικοινωνία
Arkadia-Katoikia Real Estate

Ματίνα Χάρμπαλη



Ματίνα Χαρμπαλή
Ζαφειροπούλου - Τ.Κ. 22001, Παράλιο Άστρος Αρκαδίας
27550 51645
6979003430
info@arkadia-katoikia.gr

Νόμισμα
Arkadia-Katoikia Real Estate

Ματίνα Χάρμπαλη



Ματίνα Χαρμπαλή
Ζαφειροπούλου - Τ.Κ. 22001, Παράλιο Άστρος Αρκαδίας
27550 51645
6979003430
info@arkadia-katoikia.gr

(Προς Πώληση) Αξιοποιήσιμη Γη Οικόπεδο || Ν. Αρκαδίας/Βόρεια Κυνουρία - 10.500 τ.μ, 380.000€


Χαρακτηριστικά

Έτος Κατασκευής: Σ.Δ.: Σ.Κ.: Χρήση Γης: Τουριστική εκμετάλλευση Σχέδιο Πόλεως: Εντός ζώνης Κοντά σε: ενοικιαζόμενα συγκροτήματα
Περιοχή: Βόρεια Κυνουρία (Δ. Βόρειας Κυνουρίας) Υποπεριοχή: Παράλιο Άστρος
Κατηγορία: Αξιοποιήσημη Γη Τύπος: Οικόπεδο
Τιμή: 380.000€ Εμβαδόν (τ.μ.): 10500
Τιμή/τ.μ. 36€ Υ/Δ:
Μπάνια: Όροφος:
Κωδικός: 6256

Επιπλέον Χαρακτηριστικά

Οικοδομήσιμο Επίπεδο Περιφραγμένο Για τουριστική εκμετάλλευση
 

Περιγραφή

Βόρεια Κυνουρία, Παράλιο Άστρος, Προς Πώληση, Οικόπεδο 10.500 τ.μ., Τουριστική εκμετάλλευση, Νοτιοανατολικός, Εντός ζώνης, θέα :Βουνό + Θάλασσα, επενδυτική έκταση, με 70μ. πρόσοψη στην επαρχιακή οδό Άστρους- Παραλίου Άστρους και 60μ. πρόσοψη σε αγροτική οδό, Η έκταση είναι δενδροφυτεμένη με ελιές (μανάκη), έχει μια παλαιά ισόγεια κατοικία 127 τ.μ συνδεδεμένη με το δίκτυο ύδρευσης και ιδιωτική γεώτρηση., Η μοναδική αυτή έκταση έχει δυνατότητα δόμησης για αμιγής κατοικία, 800τ.μ. για συγκρότημα κατοικιών με ιδιόκτητο κομμάτι γης ανα κατοικία, και δυνατότητα δόμησης 1500 τ.μ για επαγγελματικό κτίριο ή ξενοδοχειακή μονάδα, χαρακτηριστικα: Οικοδομήσιμο, Περιφραγμένο, Γεώτρηση, Επενδυτικό, Επίπεδο, Για τουριστική εκμετάλλευση, επίπεδο, τιμή συζητήσιμη, κοντά σε: ενοικιαζόμενα συγκροτήματα, απόσταση απο: Αεροδρόμιο(m): 186000, Θάλασσα(m): 780, Πόλη(m): 1400, Χωριό(m): 1400, Tιμή: 380.000€ www.arkadia-katoikia.gr Τηλ. 2755051645 Κιν. 6979003430

Στατιστικά Ακινήτου

Δημοσίευση Ακινήτου: 09 Σεπ, 2024
Τελευταία ενημέρωση: 29 Οκτ, 2025
Συνολικές επισκέψεις:

Loading...