Find us on facebook   Greek English

  Arkadia-Katoikia Real Estate   (Προς Πώληση) Κατοικία Μονοκατοικία || Ν. Αρκαδίας/Βόρεια Κυνουρία - 127 τ.μ, 2 Υ/Δ, 380.000€

Έτος Κατασκευής: 2025
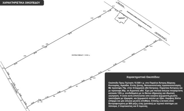
Τ.μ. Οικοπέδου: 10500
Θέα: Απεριόριστη
Κατάσταση: Χρίζει μερικής ανακαίνισης
Parkings: 4
Θέρμανση: Ανεξάρτητη Θέρμανση
Επίπεδα: 1
Κοντά σε: συγκροτήματα κατοικιών

Επιπλέον Χαρακτηριστικά

Πέτρινο Αποθήκη Διαμπερές Προσόψεως Φωτεινό Εξοχική Κατοικία Τζάκι Κατάλληλο για επαγγελματική χρήση Κήπος Πολυτελές Γήπεδο Αυτ/το Πότισμα Δέντρα Επιτρέπονται Κατοικίδια
 

Περιγραφή

Βόρεια Κυνουρία, Παράλιο Άστρος, Προς Πώληση, Μονοκατοικία 127 τ.μ., Νοτιοανατολικός,, Ισόγειο όροφος, 1 επίπεδο/α, έτος κατασκευής 2025, σε οικόπεδο 10500 τ.μ. επενδυτικό ακίνητο, με 70μ πρόσοψη στην επαρχιακή οδό Άστρους-Παραλίου Άστρους και 60μ πρόσοψη σε αγροτική οδό, Η έκταση είναι δεντροφυτεμένη με ελιές (μανάκη), έχει μια ισόγεια κατοικία 127 τμ , με ύδρευση δικτύου και ιδιωτική γεώτρηση., Χαρακτηριστικό του ακινήτου είναι η δυνατότητες δόμησης που έχει πέραν της δόμησης για αμιγής κατοικία, έχει 800 τ.μ για συγκρότημα κατοικιών, με ιδιόκτητο κομμάτι γης ανα κατοικία και 1500 τ.μ για επαγγελματικό κτίριο ή ξενοδοχειακή μονάδα, 2 Υ/Δ, 1 μπάνιο/α, 1 κουζίνα/ες, κουφώματα Ξύλινα, θέρμανση Ατομική, Αποθήκη, Τζάκι, Επιτρέπονται Κατοικίδια, Πέτρινο, Πολυτελές, Διαμπερές, Προσόψεως, Φωτεινό, Γήπεδο, Αυτ/το Πότισμα, Δέντρα, Κήπος, Εξοχική Κατοικία, Κατάλληλο για επαγγελματική χρήση, 4 parking, περιφραγμένο, με άμεση πρόσβαση, σε εμπορικό σημείο, θέα :Απεριόριστη, κοντά σε: συγκροτήματα κατοικιών,  απόσταση απο: Αεροδρόμιο(m): 186000, Θάλασσα(m): 780, Πόλη(m): 1400, Χωριό(m): 1400, Tiμή: 380.000€. www.arkadia-katoikia.gr Τηλ. 2755051645 Κιν. 6979003430

Αναλυτική Περιγραφή

Δεν υπάρχει διαθέσιμη

Χάρτης

Σημεία Ενδιαφέροντος

Κοντά σε: συγκροτήματα κατοικιών
Απόσταση από: Αεροδρόμιο(m): 186000, Θάλασσα(m): 780, Πόλη(m): 1400, Χωριό(m): 1400

Στατιστικά Ακινήτου

Δημοσίευση Ακινήτου: 09 Σεπ, 2024
Συνολικές επισκέψεις:
Τελευταία ενημέρωση: 29 Οκτ, 2025
https://www.youtube.com/watch?v=lmi2Ya6SniQ

Οδηγίες

Πατήστε το Κεντρικό βελάκι για να δείτε το Video του συγκεκριμένου ακινήτου.

Με Ενδιαφέρει Socialize it Δάνειο Εκτύπωση
Με Ενδιαφέρει το ακίνητο
Συμπληρώστε την φόρμα και πατήστε αποστολή. Τα πεδία με * είναι υποχρεωτικά
*
*

Εισάγετε τον κωδικό
Υπολογισμός Δανείου
Συμπληρώστε το Επιτόκιο (χωρίς το σύμβολο %} και τη Διάρκεια αποπληρωμής σε έτη. Αν επιθυμείτε μπορείτε να αλλάξετε και το ποσό
(%)
(έτη)

Χαρακτηριστικά

Περιοχή Βόρεια Κυνουρία (Δ. Βόρειας Κυνουρίας)
Υποπεριοχή Παράλιο Άστρος
Κατηγορία Κατοικίες
Τύπος Μονοκατοικία
Τιμή 380.000€
Εμβαδόν (τ.μ.) 127
Τιμή/τ.μ. 2.992€
Υ/Δ 2
Μπάνια 1
Όροφος Ισόγειο
Κωδικός 1753305
Ενεργειακό Πιστοποιητικό
Κατηγορία D
Επικοινωνία
Arkadia-Katoikia Real Estate

Ματίνα Χάρμπαλη



Ματίνα Χαρμπαλή
Ζαφειροπούλου - Τ.Κ. 22001, Παράλιο Άστρος Αρκαδίας
27550 51645
6979003430
info@arkadia-katoikia.gr

Νόμισμα

  Arkadia-Katoikia Real Estate   Δείτε ακόμα

320.000 €

Βόρεια Κυνουρία - 150τμ.

Arkadia-Katoikia Real Estate

Ματίνα Χάρμπαλη



Ματίνα Χαρμπαλή
Ζαφειροπούλου - Τ.Κ. 22001, Παράλιο Άστρος Αρκαδίας
27550 51645
6979003430
info@arkadia-katoikia.gr

(Προς Πώληση) Κατοικία Μονοκατοικία || Ν. Αρκαδίας/Βόρεια Κυνουρία - 127 τ.μ, 2 Υ/Δ, 380.000€


Χαρακτηριστικά

Έτος Κατασκευής: 2025 Τ.μ. Οικοπέδου: 10500 Θέα: Απεριόριστη Κατάσταση: Χρίζει μερικής ανακαίνισης Parkings: 4 Θέρμανση: Ανεξάρτητη Θέρμανση Επίπεδα: 1 Κοντά σε: συγκροτήματα κατοικιών
Περιοχή: Βόρεια Κυνουρία (Δ. Βόρειας Κυνουρίας) Υποπεριοχή: Παράλιο Άστρος
Κατηγορία: Κατοικίες Τύπος: Μονοκατοικία
Τιμή: 380.000€ Εμβαδόν (τ.μ.): 127
Τιμή/τ.μ. 2.992€ Υ/Δ: 2
Μπάνια: 1 Όροφος: Ισόγειο
Κωδικός: 6255

Επιπλέον Χαρακτηριστικά

Πέτρινο Αποθήκη Διαμπερές Προσόψεως Φωτεινό Εξοχική Κατοικία Τζάκι Κατάλληλο για επαγγελματική χρήση Κήπος Πολυτελές Γήπεδο Αυτ/το Πότισμα Δέντρα Επιτρέπονται Κατοικίδια
 

Περιγραφή

Βόρεια Κυνουρία, Παράλιο Άστρος, Προς Πώληση, Μονοκατοικία 127 τ.μ., Νοτιοανατολικός,, Ισόγειο όροφος, 1 επίπεδο/α, έτος κατασκευής 2025, σε οικόπεδο 10500 τ.μ. επενδυτικό ακίνητο, με 70μ πρόσοψη στην επαρχιακή οδό Άστρους-Παραλίου Άστρους και 60μ πρόσοψη σε αγροτική οδό, Η έκταση είναι δεντροφυτεμένη με ελιές (μανάκη), έχει μια ισόγεια κατοικία 127 τμ , με ύδρευση δικτύου και ιδιωτική γεώτρηση., Χαρακτηριστικό του ακινήτου είναι η δυνατότητες δόμησης που έχει πέραν της δόμησης για αμιγής κατοικία, έχει 800 τ.μ για συγκρότημα κατοικιών, με ιδιόκτητο κομμάτι γης ανα κατοικία και 1500 τ.μ για επαγγελματικό κτίριο ή ξενοδοχειακή μονάδα, 2 Υ/Δ, 1 μπάνιο/α, 1 κουζίνα/ες, κουφώματα Ξύλινα, θέρμανση Ατομική, Αποθήκη, Τζάκι, Επιτρέπονται Κατοικίδια, Πέτρινο, Πολυτελές, Διαμπερές, Προσόψεως, Φωτεινό, Γήπεδο, Αυτ/το Πότισμα, Δέντρα, Κήπος, Εξοχική Κατοικία, Κατάλληλο για επαγγελματική χρήση, 4 parking, περιφραγμένο, με άμεση πρόσβαση, σε εμπορικό σημείο, θέα :Απεριόριστη, κοντά σε: συγκροτήματα κατοικιών,  απόσταση απο: Αεροδρόμιο(m): 186000, Θάλασσα(m): 780, Πόλη(m): 1400, Χωριό(m): 1400, Tiμή: 380.000€. www.arkadia-katoikia.gr Τηλ. 2755051645 Κιν. 6979003430

Στατιστικά Ακινήτου

Δημοσίευση Ακινήτου: 09 Σεπ, 2024
Τελευταία ενημέρωση: 29 Οκτ, 2025
Συνολικές επισκέψεις:

Loading...