Find us on facebook   Greek English

  Arkadia-Katoikia Real Estate   (For Sale) Residential Detached house || Arkadia/North Kynouria - 127 Sq.m, 2 Bedrooms, 380.000€

Building Year: 2025
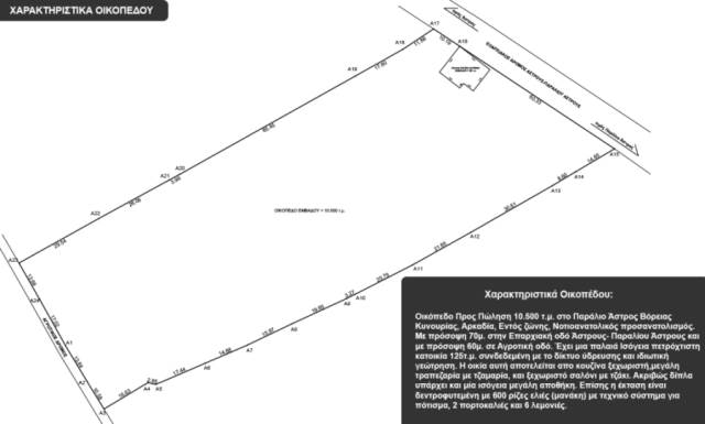
In plot/With garden (Sq.m): 10500
View: Unlimited
Status: Partial renovation Needs
Parkings: 4
Heating: Independent Heating
Levels: 1

Additional Features

Stonehouse Storage room Airy Frontage Bright Cottage Fireplace Suitable for professional use Back yard (Garden) Luxury Stadium Automatic Watering Trees Pets allowance
 

Description

North Kynouria, Paralio Astros, For Sale, Detached house 127 sq.m., Ground floor floor, 1 level(s), built year 2025, plot 10500 sq.m. , 2 bedrooms,1 bath(s), 1 kitchen, frames Wooden, heating Personal, Storage room, Fireplace, Pets Allowed, Stonehouse, Luxury, Airy, Roadside, Bright, Stadium, Automatic Watering, Trees, Back yard (Garden), Holiday Home, Suitable for Commercial Use, 4 parking, view :Unlimited,  distance from: Airport (m): 186000, Seaside (m): 780, City (m): 1400, Village (m): 1400, Price: 380.000€. www.arkadia-katoikia.gr Tel. 2755051645

Additional Information

It is not available

Map

Points of Interest

Distance from: Airport (m): 186000, Seaside (m): 780, City (m): 1400, Village (m): 1400

Property's Statistics

Published date: 09 Sep, 2024
Total visitors:
Update date: 29 Oct, 2025
https://www.youtube.com/watch?v=lmi2Ya6SniQ

Help

Click the Central button to see the Property's available Video.

I am Interested Socialize it Loan Print a Brochure
I am Interested for this Property
Please, fill in the form and then Click the Send button. Fields marked with * are mandatory fields
*
*

Type the code
Loan calculator
Fill the rate (without % symbol} and Repayment period in years. If you wish, you can change the amount.
(%)
(years)

Features

Area North Kynouria (North Kynouria)
Subarea Paralio Astros
Category Residential
Type Detached house
Price 380,000€
Sq.m 127
Price/Sq.m 2,992€
Bedrooms 2
Bathrooms 1
Floor Ground floor
Code 1753305
Energy Certificate
Category D
Contact Us


Ματίνα Χαρμπαλή
Zafiropoulou, 22019 Paralio Astros Arkadia
(+30) 27550 51645
(+30) 6979003430
info@arkadia-katoikia.gr

Currency

  Arkadia-Katoikia Real Estate   See also

320,000 €

North Kynouria - 150Sq.m



Ματίνα Χαρμπαλή
Zafiropoulou, 22019 Paralio Astros Arkadia
(+30) 27550 51645
(+30) 6979003430
info@arkadia-katoikia.gr

(For Sale) Residential Detached house || Arkadia/North Kynouria - 127 Sq.m, 2 Bedrooms, 380.000€


Features

Building Year: 2025 In plot/With garden (Sq.m): 10500 View: Unlimited Status: Partial renovation Needs Parkings: 4 Heating: Independent Heating Levels: 1
Area: North Kynouria (North Kynouria) Subarea: Paralio Astros
Category: Residential Type: Detached house
Price: 380,000€ Sq.m: 127
Price/Sq.m 2,992€ Bedrooms: 2
Bathrooms: 1 Floor: Ground floor
Code: 6255

Additional Features

Stonehouse Storage room Airy Frontage Bright Cottage Fireplace Suitable for professional use Back yard (Garden) Luxury Stadium Automatic Watering Trees Pets allowance
 

Description

North Kynouria, Paralio Astros, For Sale, Detached house 127 sq.m., Ground floor floor, 1 level(s), built year 2025, plot 10500 sq.m. , 2 bedrooms,1 bath(s), 1 kitchen, frames Wooden, heating Personal, Storage room, Fireplace, Pets Allowed, Stonehouse, Luxury, Airy, Roadside, Bright, Stadium, Automatic Watering, Trees, Back yard (Garden), Holiday Home, Suitable for Commercial Use, 4 parking, view :Unlimited,  distance from: Airport (m): 186000, Seaside (m): 780, City (m): 1400, Village (m): 1400, Price: 380.000€. www.arkadia-katoikia.gr Tel. 2755051645

Property's Statistics

Published date: 09 Sep, 2024
Update date: 29 Oct, 2025
Total visitors:

Loading...